Publicidad

 
Publicidad

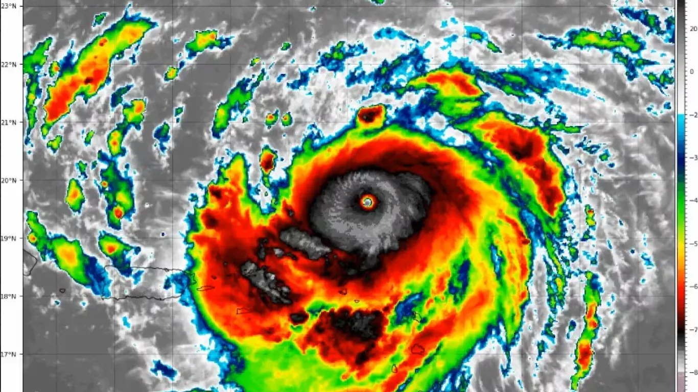
Huracán Erin alcanza categoría 5 y amenaza con duplicar su tamaño

El ciclón, con vientos de 260 km/h, se perfila como uno de los de intensificación más rápida en la historia del Atlántico y genera fuerte oleaje en el Caribe.

Huracán Erin
Por Agencia Periodismo Investigativo | Sáb, 16/08/2025 - 12:32 Créditos: Huracán Erin. Tomada de X: @InfoMeteoTuit

El huracán Erin se intensificó rápidamente en las últimas 24 horas hasta alcanzar la categoría 5, con vientos sostenidos de 260 km/h, mientras avanza sobre el noreste del Caribe, según el Centro Nacional de Huracanes (NHC, por sus siglas en inglés). El fenómeno, que pasó de tormenta tropical a huracán mayor en menos de un día, ya provoca oleaje peligroso, lluvias y ráfagas de viento en varias islas del Caribe oriental.

Erin se ubica a unos 170 kilómetros al noreste de Anguila y, aunque se espera que no impacte directamente en tierra, sí representa una amenaza para las Islas Vírgenes, Puerto Rico y las Islas de Barlovento, donde se han emitido alertas. El NHC advierte que para mediados de la próxima semana el huracán podría duplicar o incluso triplicar su tamaño, impulsado por temperaturas oceánicas más cálidas de lo habitual.

Lea también: (Dos ataques sicariales dejan dos muertos y tres heridos en Bucaramanga)

Además de las intensas ráfagas de viento, se prevén lluvias de hasta 16 centímetros en algunos sectores del Caribe, lo que eleva el riesgo de inundaciones repentinas y deslizamientos de tierra. También se anticipa mar de fondo y corrientes de resaca peligrosas que afectarán a las Bahamas, la costa este de Estados Unidos y el Atlántico canadiense.

Erin se convierte en el primer huracán mayor de la temporada 2025 en el Atlántico y en uno de los más inusuales por su rápida intensificación y formación temprana fuera del Golfo de México. Es, además, el huracán de categoría 5 número 11 registrado en el Atlántico desde 2016, reflejo del impacto del calentamiento oceánico en la fuerza de los ciclones tropicales.

Otras noticias

 

Etiquetas